2025-06-18 17:30:50
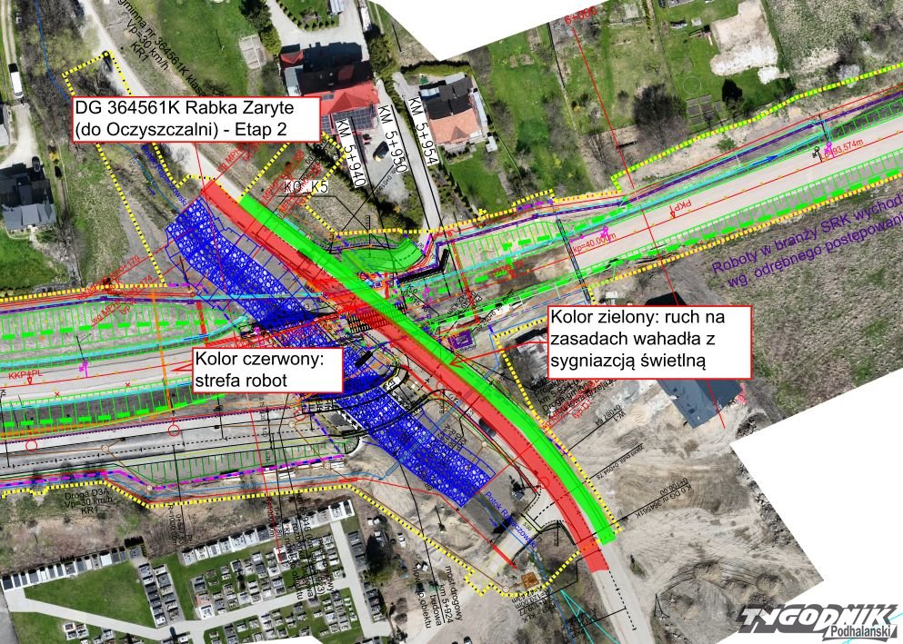
Rabka-Zaryte
Utrudnienia na drodze gminnej w Zarytem
Ruch wahadłowy zostanie wprowadzony na drodze do oczyszczalni ścieków i Punktu Selektywnej Zbiórki Odpadów.
-
MOTORYZACJA | sprzedaż
Sprzedam Toyotę Rav4 , z niezawodnym silnikiem 2.0 benzyna , 151 KM, rocznik 2015. Auto z polskiego salonu. Dwa komplety opon, opony zimowe po jednym sezonie. Więcej info pod numerem telefonu. 880869664 telka.mirabelka@gmail.com
Tel.: 880869664 -
USŁUGI | budowlane
REMONTY, WYKOŃCZENIA, PŁYTKI, PANELE, MALOWANIE itp. OBRÓBKI BLACHARSKIE (balkony, tarasy, podbitki). 796 544 016. -
PRACA | dam
Piekarnia w Zakopanem zatrudni PIEKARZA. Praca stała, dobre warunki. 604 102 804, 602 285 793. -
NIERUCHOMOŚCI | sprzedaż
Sprzedam POŁOWĘ DOMU W SPYTKOWICACH (piętro z tarasem). 608 35 83 95. -
USŁUGI | inne
WYCINKA, PRZYCINKA DRZEW W TRUDNYCH WARUNKACH - 691 317 098. -
USŁUGI | budowlane
WYKOŃCZENIA WNĘTRZ, REMONTY, ZABUDOWY GK, ADAPTACJA PODDASZY. 660 079 941. -
SPRZEDAŻ | różne
OPAŁ BUK. 660 079 941. -
PRACA | dam
Sprzątanie apartamentów, pokojowa, Zatrudnie do sprzątania apartamentów w okolicy ul. Strążyskiej w Zakopanem (wskazane auto w celu dojechania do apartamentów). Praca na stałe, 3-4 dni w tygodniu (gdy są wyjazdy w weekendy również) w godzinach 9-15.. 609097999
Tel.: 609097999 -
NIERUCHOMOŚCI | wynajem
Zakopane centrum - MAŁY POKÓJ Z BALKONEM NA DŁUŻEJ - TANIO - 502 879 648. -
MOTORYZACJA | sprzedaż
SKUTER ŚNIEŻNY POLARIS. 515 503 494. -
PRACA | dam
Poszukujemy OSÓB DO OBSŁUGI KLIENTA w biurze Szkoły Narciarskiej na Polanie Szymoszkowej w Zakopanem! Praca sezonowa: grudzień - marzec. ZAKRES OBOWIĄZKÓW. - Obsługa klientów bieżących w biurze szkoły, - Obsługa e-maila i przyjmowanie rezerwacji telefonicznych, - Sprzedaż usług szkoły narciarskiej, - Rozliczanie lekcji oraz współpraca z instruktorami. WYMAGANIA: - Komunikatywność i cierpliwość, - Dobra organizacja pracy i umiejętność samodzielnego działania, - Umiejętność obsługi komputera, - Łatwość w nawiązywaniu kontaktów, - Zdolność do pracy przy kilku zadaniach jednocześnie, - Komunikatywna znajomość języka angielskiego. OFERUJEMY: - Pracę w przyjaznej, sportowej atmosferze, - Możliwość nauki i rozwoju w branży turystyczno-narciarskiej, - Zimowy sezon pełen dobrej energii i górskiego klimatu! OSOBY ZAINTERESOWANE prosimy o przesyłanie aplikacji na e-mail: szkola@szymoszkowa.pl lub kontakt telefoniczny: 734 011 011. CZEKAMY WŁAŚNIE NA CIEBIE! -
MOTORYZACJA | sprzedaż
CITROEN JUMPER, r.p. 2013, cen do uzgodnienia - 604 102 804. -
MOTORYZACJA | sprzedaż
VW TRANSPORTER, r.p. 2013, cena do uzgodnienia, 604 102 804. -
USŁUGI | budowlane
FLIZOWANIE, REMONTY, WYKOŃCZENIA. 882080371. -
USŁUGI | budowlane
KAMIENIARSTWO. 882080371. -
MOTORYZACJA | inne
PELLET!!! W sprzedaży posiadamy pellet olczyk i barlinek w najlepszej cenie na Podhalu!!!. 607695394 romar.zakopane@wp.pl
Tel.: 607695394 -
NIERUCHOMOŚCI | sprzedaż
SPRZEDAM MIESZKANIE KRAKÓW - KURDWANÓW - ŚWIETNA LOKALIZACJA. Oferujemy na sprzedaż jasne i przestronne mieszkanie położone w zadbanym budynku na osiedlu Kurdwanów. Powierzchnia 28,12 m kw. Budynek wyposażony jest w trzy windy, w tym jedną towarową. UKŁAD MIESZKANIA: - duży pokój z wnęką (nyżą), - jasna kuchnia z oknem, - duża, oszklona loggia, - piwnica przynależna do mieszkania. Mieszkanie jest słoneczne i ustawne, IDEALNE DLA SINGLA, PARY lub JAKO INWESTYCJA POD WYNAJEM. Lokalizacja zapewnia szybki dojazd do centrum oraz dostęp do pełnej infrastruktury - sklepy, przystanki komunikacji miejskiej, szkoły i tereny zielone w zasięgu kilku minut spacerem. SPRZEDAŻ BEZ POŚREDNIKÓW. Cena 450 tys zł - do negocjacji. Kontakt: 604 08 16 43 -
PRACA | dam
PAPI SERVICE SP. Z O.O. ZATRUDNI KIEROWCÓW. WYMAGANE KAT. C+E ORAZ UPRAWNIENIA ADR. MOŻLIWE PRZESZKOLENIE ADR/TDT Z ZAKRESU PRZEWOZU PALIW PŁYNNYCH . TEL.602290555 -
PRACA | dam
Karczma "Czarci Jar" poszukuje osoby na stanowisko POMOC KUCHENNA. Tel. 602 366 750. -
PRACA | dam
ZATRUDNIMY W KARCZMIE oraz W BARZE MLECZNYM: KUCHARZA, DOŚWIADCZONĄ POMOC KUCHENNĄ, OBSŁUGĘ BARU MLECZNEGO. Zakopane, bez zakwaterowania - 600 035 355. -
PRACA | dam
Stacja Narciarska Polana Szymoszkowa zatrudni na sezon zimowy do pracy w gastronomii: PIZZERÓW, BARMANKI, BUFETOWE, POMOCE KUCHENNE, OSOBY NA ZMYWAK, OSOBY DO SPRZĄTANIA SALI. Kontakt osobisty pod nr tel.: 693 319 707 -
NIERUCHOMOŚCI | kupno
Skupujemy nieruchomości za GOTÓWKĘ, PODHALE. 600404554
Tel.: 600404554 -
NIERUCHOMOŚCI | pośrednictwo
Zarządzanie domkami i apartamentami na wynajem krótkoterminowy. 788 63 36 33 www.zarzadzanieapartamentami.info
Tel.: 788 63 36 33
WWW: www.zarzadzanieapartamentami.info -
USŁUGI | budowlane
MALOWANIE DACHÓW I ELEWACJI. 602 882 325. -
SPRZEDAŻ | różne
DREWNO KOMINKOWE. 501 577 105. -
USŁUGI | budowlane
OGRODZENIA, www.hajdukowie.pl. 692 069 284.













